GET VISIBLE! Advertise Here. Find Out More

 

 

 




 
 

Toxins In Skin Bacteria
Help Lymphoma Cells Spread

 

From Alan Cantwell MD
1-9-16

 

Toxins In Skin Bacteria Help Lymphoma Cells Spread
http://www.upi.com/Health_News/2016/01/06/Toxins-in-skin-bacteria-help-lymphoma-cells-spread/4051452097354/


1.
Mycobacterium avium-intracellulare infection and immunoblastic sarcoma in a fatal case of AIDS.
Cantwell AR Jr.
Growth. 1986 Spring;50(1):32-40.
PMID: 3732865
Similar articles


2.
Select item 6703743 Variably acid-fast bacteria in a fatal case of Hodgkin's disease.
Cantwell AR Jr, Kelso DW.
Arch Dermatol. 1984 Mar;120(3):401-2. No abstract available.
PMID: 6703743
Similar articles


3.
Select item 7069046 Variably acid-fast pleomorphic bacteria as a possible cause of mycosis fungoides. A report of a necropsied case and two living patients.
Cantwell AR Jr.
J Dermatol Surg Oncol. 1982 Mar;8(3):203-13.
PMID: 7069046
Similar articles


4.
Select item 7068309 Variably acid-fast bacteria in a rare case of coexistent malignant lymphomaand cutaneous sarcoid-like granulomas.
Cantwell AR Jr.
Int J Dermatol. 1982 Mar;21(2):99-106.
PMID: 7068309
Similar articles


5.
Select item 6171483 Histologic observations of variably acid-fast coccoid forms suggestive of cell wall deficient bacteria in Hodgkin's disease: a report of four cases.
Cantwell AR Jr.
Growth. 1981 Autumn;45(3):168-87.
PMID: 6171483
Similar articles


Photos below from rense.com post
http://www.rense.com/general95/lymph.html

 

Figure 1. Hodgkin’s (B cell) lymphoma of the lung. Arrows point to a rare collection of intracellular variably staining coccoid forms. MacCallum-Goodpasture Gram stain, magnification x1000, in oil.

Figure 2. Hodgkin’s lymphoma of the skin. Arrows point to a large collection of minute granules and coccoid forms in the deep dermis. Fite (acid-fast) stain, x1000, in oil. Insert shows appearance of Propionibacterium (Corynebacterium) acnes bacterial cultured from the skin lesion. Ziehl-Neelsen (acid-fast) stain, x1000, in oil Compare the similar size and shape of the bacteria seen in the skin (in vivo) with those cultured in the laboratory.

 

Figure 3. Hodgkin’s lymphoma of the lymph node. Variably sized coccoid forms and larger bodies consistent with cell wall deficient “large bodies” and also to “Russell bodies.” Gram stain, x1000, in oil.

 

Figure 4. Hodgkin’s lymphoma of the lymph node showing very large solitary “large body” (similar to a Russell body). Gram stain, x1000, in oil.

 

Figure 5. Immunoblastic sarcoma tumor (renamed immunoblastic lymphoma) of the skin in an advanced case of AIDS. Two very rare acid-fast (red stained) rod-like bacillary forms are seen in the center. Fite stain, x1000, in oil.

 

Figure 6. Mycobacterium avium intracellulare cultured from the immunoblastic sarcoma/lymphoma facial tumor. Note the pleomorphic forms, such as acid-fast rods and non-acid-fast (blue-stained) cocci. Ziehl-Neelsen (acid-fast) stain, x1000, in oil.

 

Figure 7. Mycosis fungoides (cutaneous T-cell lymphoma) of the skin. Arrows point to extracellular scattered coccoid forms in the deep dermis. Fite-Faraco (acid-fast) stain, x1000, in oil. Insert shows Staphylococcus epidermidis cultured from the lesion. Note the similar size and shape of the cocci cultured to the coccoid forms seen in vivo in the skin lymphoma. Ziehl-Neelsen (acid-fast) stain, x1000, in oil.

 

Figure 8. Mycosis fungoides (T-cell lymphoma) of the skin showing a large clump of closely-knit coccoid forms in the dermis. Alexander-Jackson’s intensified triple stain for the detection of non-acid-fast forms of mycobacteria, x1000, in oil.

 

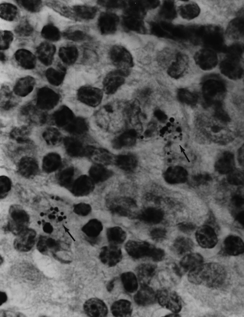
Figure 9. Mycosis fungoides (T cell lymphoma) of the lymph node showing an intracellular clump of tightly-packed coccoid forms. Alexander-Jackson’s triple stain, x 1000, in oil. Compare the size and shape of the node forms to those seen in the skin in Figure 7 from the same patient.

 



Disclaimer

Donate to Rense.com Support Free And Honest Journalism At Rense.com Subscribe To RenseRadio! Enormous Online Archives, MP3s, Streaming Audio Files,  Highest Quality Live Programs